Denia:
C3XY8042DEN Stadtgrundstück direkt am Strand zum Verkauf in Dénia
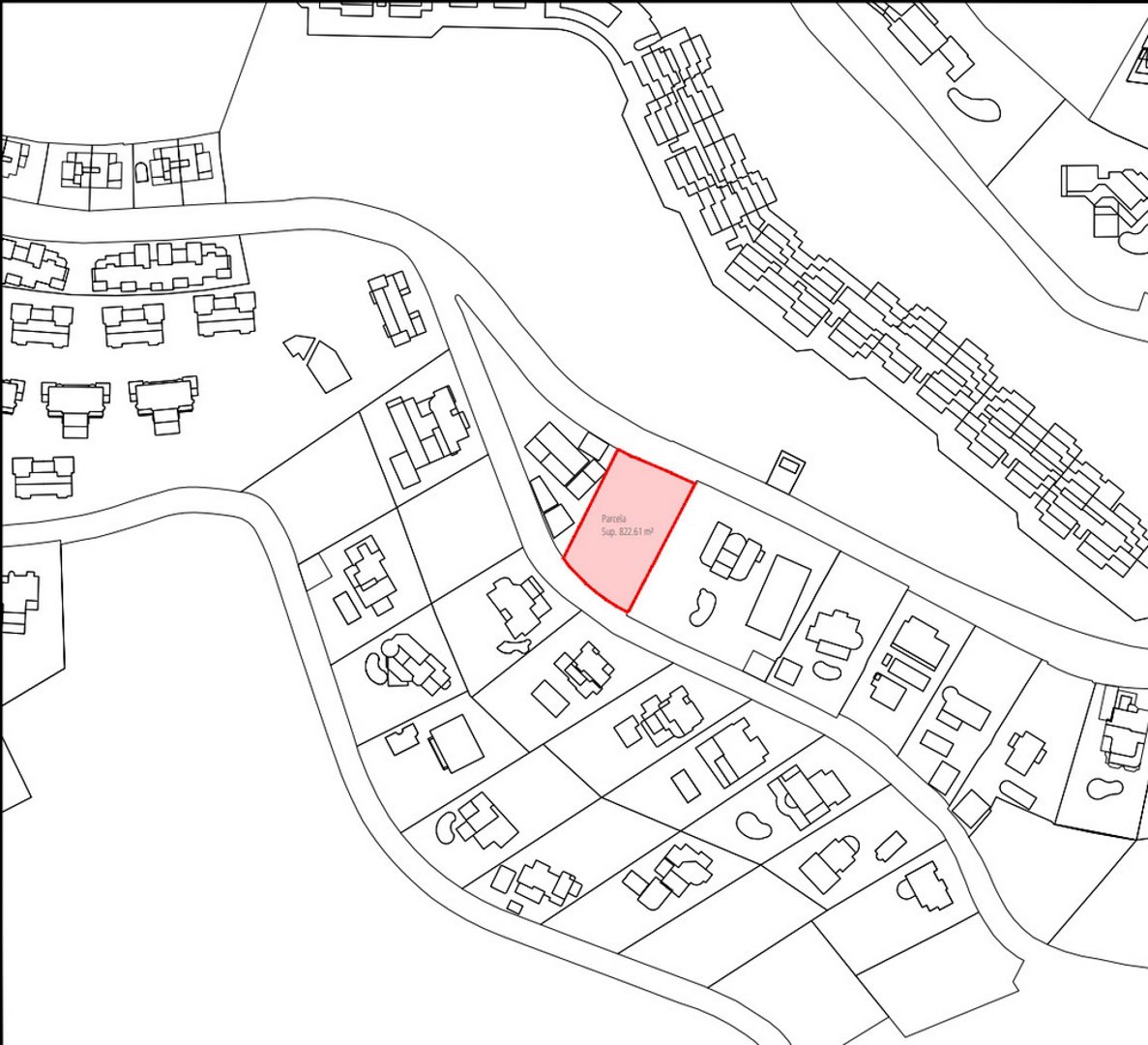
Objekt-Nr.: FVH-C3XY8042DEN














Grundstück ca.:
1.315 m²
Preis:
255.000 €
Urbanes Grundstück von 1200m², frei von Abtretungen, an einem der besten Strände des Mittelmeers gelegen, ideal für diejenigen, die Ruhe und Nähe zur Natur suchen. Es ist weniger als 1 Minute zu Fuß zum Strand, so dass Sie Kilometer von goldenen Sand und kristallklarem Wasser zu genießen. Der Strand Les Deveses in Denia ist berühmt für seine entspannte Atmosphäre und seine Ausdehnung. Er ist ein idealer Ort zum Spazierengehen, zum Ausüben von Wassersportarten wie Windsurfen oder einfach zum Entspannen in der Sonne.…
Die Gegend bietet auch eine große gastronomische Vielfalt, von traditionellen mediterranen Restaurants bis hin zu modernen Fusionsrestaurants, ideal für Feinschmecker. Dieses Grundstück hat eine bebaubare Fläche von 25 %, die die Möglichkeit bietet, eine Villa von bis zu 300 m² oder, durch Abtrennung des Grundstücks, zwei Doppelhaushälften (Stadthäuser) von je 150 m² zu bauen. Wasser und Strom sind in unmittelbarer Nähe des Grundstücks vorhanden, allerdings müssen die entsprechenden Anschlüsse gelegt werden. Außerdem verlangt das Rathaus bei der Bebauung, dass der Bereich neben der Straße bebaut wird, damit eine voll erschlossene und geordnete Umgebung gewährleistet ist. Denia, ein charmanter Küstenort, ist nur 20 Minuten mit dem Auto oder 40 Minuten mit dem Fahrrad über den Radweg entlang der Straße Las Marinas entfernt. Denia ist bekannt für seinen Hafen, seine historische Burg und sein pulsierendes kulturelles Leben und ist ein hervorragender Ausgangspunkt für die Erkundung der Balearen. Die Städte Alicante und Valencia mit ihren internationalen Flughäfen sind ca. 1 Autostunde entfernt und bieten hervorragende Verbindungen ins In- und Ausland. Dieses Grundstück ist eine einzigartige Gelegenheit, das Beste des mediterranen Lebensstils zu genießen, mit allen Annehmlichkeiten und Dienstleistungen in unmittelbarer Nähe und in einer unschlagbaren natürlichen Umgebung.
- Solarium
Nutzungsart: Wohnen
Das könnte Ihnen auch gefallen
Denia

































