Altea:
4412ALT Grundstück mit Meerblick und Lizenz zum Verkauf in Altea
Objekt-Nr.: FVH-4412ALT










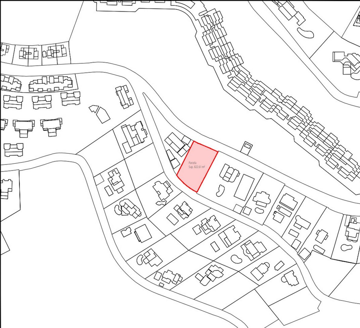
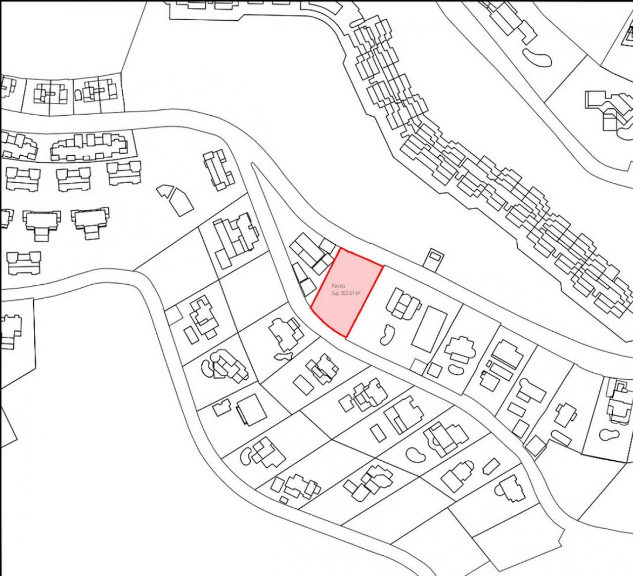
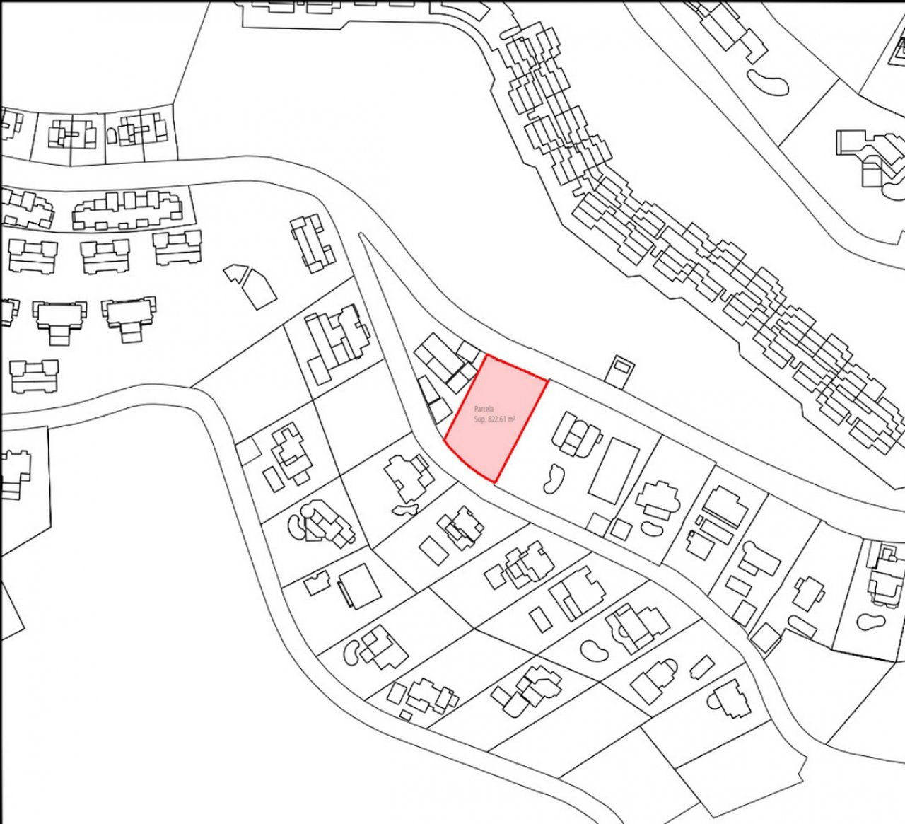
Grundstück ca.:
823 m²
Preis:
485.000 €
Stellen Sie sich vor, Sie wachen jeden Tag mit einem atemberaubenden, unverbaubaren Blick auf das Mittelmeer, die charmante Stadt Altea und die pulsierende Skyline von Benidorm auf. Dies ist Ihre Chance, diesen Traum wahr werden zu lassen, mit einem Grundstück zum Verkauf in den prestigeträchtigen Altea Hills, eine geschlossene Wohnanlage mit privatem Sicherheitsdienst und 24/7 Überwachung. In einer der beliebtesten Gegenden der Costa Blanca gelegen, bietet dieses Grundstück eine unvergleichliche Gelegenheit, das Haus zu bauen, das Sie sich immer vorgestellt haben. Dieses Grundstück von 823 Quadratmetern ist von einer Aura der Exklusivität und Ruhe umgeben.…
Die Gegend ist bekannt für ihre ruhige Umgebung, die üppigen Landschaften und die luxuriösen Residenzen und damit der perfekte Ort für alle, die einen anspruchsvollen und ruhigen Lebensstil suchen. Die Aussicht von diesem Grundstück ist wirklich spektakulär und bietet ein Panorama, das sich vom blauen Wasser des Mittelmeers bis zu den funkelnden Lichtern von Benidorm in der Ferne erstreckt. Einer der Hauptvorteile dieses Grundstücks ist seine hervorragende Anbindung. Obwohl es eine private und abgelegene Umgebung bietet, ist es auch bequem in der Nähe der Autobahn AP-7, die einen einfachen Zugang zu den umliegenden Städten wie Benidorm und Alicante bietet. Ganz gleich, ob Sie die nahe gelegenen Strände erkunden, eine Runde Golf auf einem der erstklassigen Plätze spielen, im nahe gelegenen Jachthafen Greenwich Jetski fahren oder die Gastronomie und Boutiquen genießen möchten - alles, was Sie brauchen, ist leicht zu erreichen. Bei einer Investition in dieses Grundstück geht es nicht nur um den Bau eines Hauses, sondern auch darum, sich ein Stück Paradies in einer der begehrtesten Regionen Spaniens zu sichern. Deshalb umfasst das Angebot neben dem Grundstück auch die Baugenehmigung und das komplette Projekt für die Villa, die jetzt auf dem Grundstück gebaut werden kann, mit einem geplanten Marktwert von 1.760.000 Euro.
Nutzungsart: Wohnen
Das könnte Ihnen auch gefallen
